




Riferimento EX8616735
Appartamento Con Autorimessa In Asta In Via Varese, Vanzaghello (MI) - LOTTO 2
81 mq
3 locali
€ 81.000
Descrizione
In vendita all'asta un appartamento sito in via Varese n.3-5. L'immobile posto al primo piano è composto da soggiorno/pranzo con angolo cottura, due camere, bagno, disimpegno, ripostiglio.
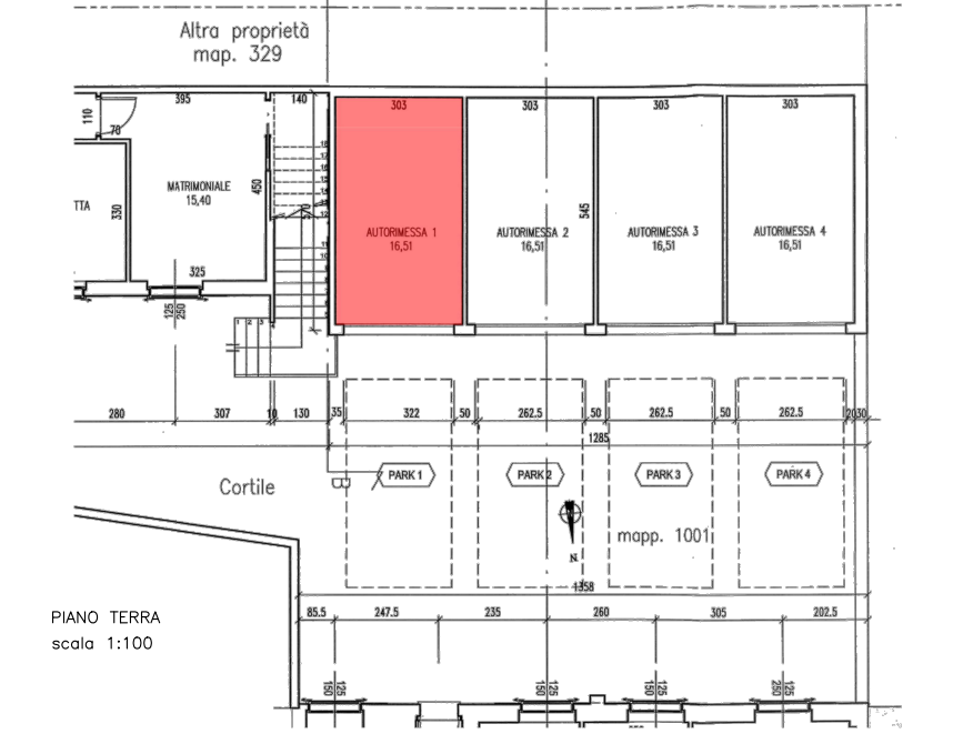
L'abitazione è completata da un box ad uso autorimessa.
SUPERFICIE COMMERCIALE
L'immobile in asta dispone di una superficie commerciale di 81,00 mq.
IMPIANTI
L’impianto per la climatizzazione invernale e per la produzione di acqua calda uso sanitario è di tipo centralizzato, con generatore a combustione di tipo a condensazione alimentato a gas e pompa di calore caldo/freddo, provvisto di impianto di contabilizzazione Caleffi con sonde e integrato da pannelli solare termico. L’impianto di riscaldamento è del tipo a pannelli radianti a pavimento.
L’impianto elettrico comprende impianto fotovoltaico centralizzato. L’unità è inoltre provvista di autonomo impianto di distribuzione del gas per alimentazione del piano cottura.
CARATTERISTICHE RILEVANTI
I serramenti esterni sono in alluminio con vetrocamere termo-isolanti a camera d’aria riempita con gas. Le persiane sono in alluminio ad ante battenti. Il portoncino di ingresso è di tipo blindato con doppia serratura di sicurezza e inserti vetrati. I davanzali e le soglie sono in granito.
DESCRIZIONE DELLA ZONA
L’immobile è ubicato a circa 200 metri dal centro cittadino, in zona a prevalente destinazione residenziale. Nel centro di Vanzaghello si trovano esercizi commerciali di vario genere.
COLLEGAMENTI
- autostrada A8 Milano-Varese/Sesto Calende, svincolo di Busto Arsizio, a circa 11 km
- autostrada A4 Torino-Trieste, svincolo di Mercallo-Mesero, a circa 14 km
- linea ferroviaria Milano-Luino/Domodossola/Porto Ceresio, stazione di Busto Arsizio, a circa 9,5 km
- linea ferroviarie Saronno-Novara, stazione di Vanzaghello a circa 950 metri
- aeroporto di Milano Malpensa, Terminal 1 a circa 12 km
- aeroporto di Milano Linate, a circa 60 km
- ospedale di Legnano, con pronto soccorso, dista circa 10 km

I documenti e le immagini in questa pagina sono stati raccolti dal portale di vendite pubbliche ministeriale.