




Riferimento EX8342216
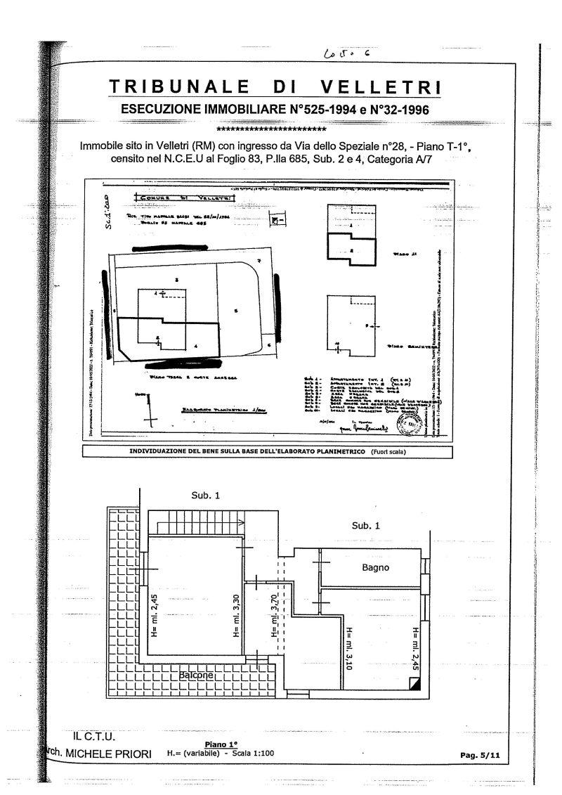
Appartamento All'asta In Via Dello Speziale Numero 28 Velletri (RM) - LOTTO 6
191 mq
5+ locali
€ 38.250
Descrizione
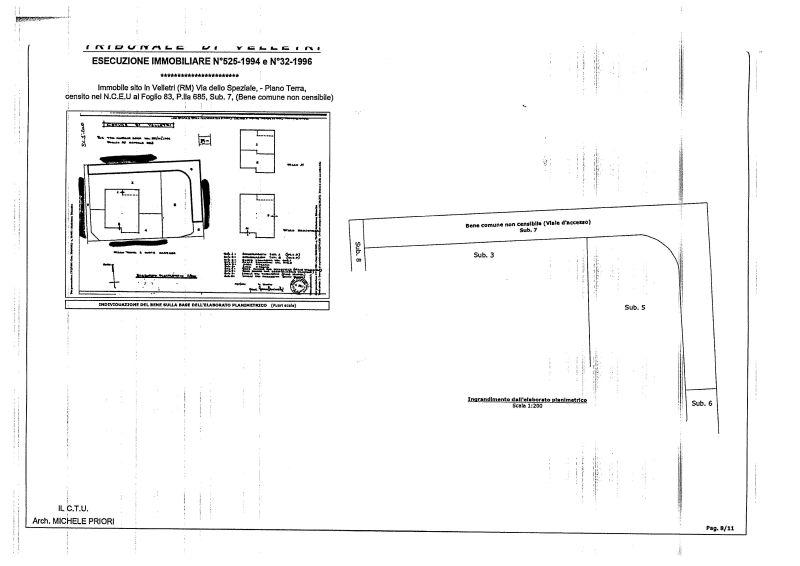
🏡 area urbana 17 mq con accesso carrabile all'asta a velletri
Questa piccola corte esterna rappresenta un'interessante opportunitĂ immobiliare all'asta nel centro di Velletri: una porzione esterna privata con accesso carrabile ideale per parcheggio, deposito o come complemento funzionale a un immobile adiacente.
Si tratta di un'area urbana di circa 17 mq (Cat. F/1, Part. 685 Sub. 6) situata a piano terra e delimitata da muri perimetrali con accesso attraverso un cancello carrabile su Via dello Speziale n.34. La superficie è pavimentata e al momento risulta accorpata alla corte contigua; la destinazione è di fatto spazio esterno di pertinenza, senza rendita catastale. Punto di forza è l'accessibilità diretta dalla strada e la posizione riservata ma facilmente raggiungibile.
Lo stato di conservazione è ordinario per spazi esterni urbani: pavimentazione in porfido, recinzioni perimetrali e cancello funzionante. Trattandosi di area esterna non sono applicabili classi energetiche; la planimetria catastale e la descrizione sono riportate nella perizia. Segnaliamo la presenza di contiguità con aree private limitrofe, aspetto da verificare in sede di sopralluogo.
La zona è centrale e comoda, con rapido accesso alla viabilità locale e ai servizi del centro di Velletri (negozi, uffici comunali e collegamenti). Ideale come spazio di servizio per attività residenziali o come piccolo investimento per completare una proprietà vicina.
📍 Dettagli principali:
• Tipologia: area urbana / corte esterna
• Superficie: circa 17 mq
• Piano: piano terra
• Località : Velletri (RM) — Via dello Speziale n.34
• Stato: pavimentata, delimitata da muri perimetrali, accesso carrabile
• Pertinenze: cancello carrabile d’ingresso
• Classe energetica: non applicabile (area esterna)
• Riferimento catastale: Particella 685, Sub. 6 (Cat. F/1) — senza rendita catastale
Valuti un acquisto all'asta? Contattaci per tutte le informazioni e per organizzare un sopralluogo prima della partecipazione all'asta.
I documenti e le immagini in questa pagina sono stati raccolti dal portale di vendite pubbliche ministeriale.